Ο κυκλώνας Ουμπέρτο έχει ενισχυθεί στην Κατηγορία 3 και αναμένεται να δυναμώσει περαιτέρω στον κεντρικό Ατλαντικό Ωκεανό, σύμφωνα με το εθνικό κέντρο παρακολούθησης κυκλώνων των ΗΠΑ. Βρίσκεται περίπου 690 χιλιόμετρα βορειοανατολικά των Υπήνεμων Νήσων, με ανέμους που φτάνουν τα 185 χλμ/ώρα. Τα κύματα που προκαλεί θα επηρεάσουν τα Υπήνεμα Νησιά, τις Παρθένες Νήσους, το Πουέρτο Ρίκο και τις Βερμούδες το σαββατοκύριακο.
Πιο αναλυτικά
Ο κυκλώνας Ουμπέρτο ενισχύθηκε ταχύτατα στην Κατηγορία 3 της πεντάβαθμης κλίμακας Σαφίρ-Σίμσον και προβλέπεται πως θα ενισχυθεί περαιτέρω στον κεντρικό Ατλαντικό Ωκεανό τις επόμενες ημέρες, προειδοποίησε χθες Παρασκευή το εθνικό κέντρο παρακολούθησης κυκλώνων/τυφώνων (National Hurricane Center / NHC) των Ηνωμένων Πολιτειών.
Hurricane #Humberto Advisory 9: Humberto Rapidly Strengthens to a Major Hurricane. Further Intensification Expected Over the Central Atlantic. https://t.co/tW4KeGdBFb
— National Hurricane Center (@NHC_Atlantic) September 26, 2025
Ο κυκλώνας βρίσκεται περίπου 690 χιλιόμετρα βορειοανατολικά των Υπήνεμων Νήσων, συνοδευόμενος από ανέμους που πνέουν με ταχύτητα έως και 185 χλμ/ώρα.
«Τα κύματα που δημιουργούνται από τον Ουμπέρτο θα αρχίσουν να επηρεάζουν τμήματα των Υπήνεμων Νήσων, των Παρθένων Νήσων, του Πουέρτο Ρίκο και των Βερμούδων το σαββατοκύριακο», αναφέρει η ενημέρωση από το NHC.
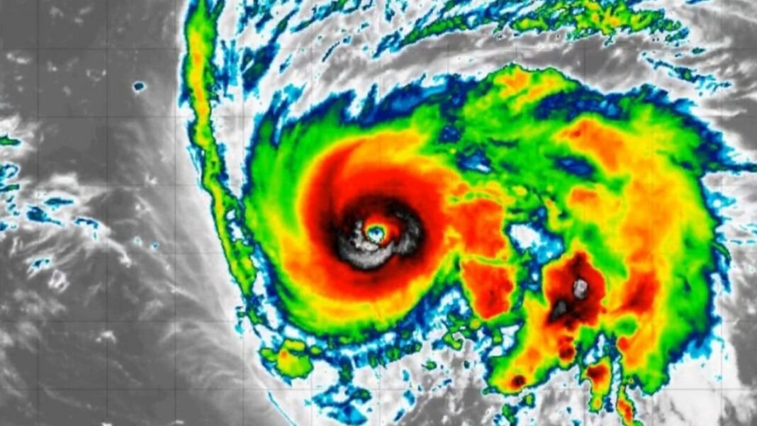
#Humberto may already be approaching C4 status if not at it already.
Look how nice and centralized the CDO has become around the warming eye that is now ~15 degrees Celsius.
Notice Humberto shedding the excess convection around to help form the centralized CDO you see now.… pic.twitter.com/bJHSQZxyxa
— BGWX (@BradyBGWX) September 26, 2025
Πηγές: ΑΠΕ-ΜΠΕ, Reuters



